+ 2 photos
Ajouter aux favoris
Imprimer
Partager
Description
À titre informatif et non contractuel
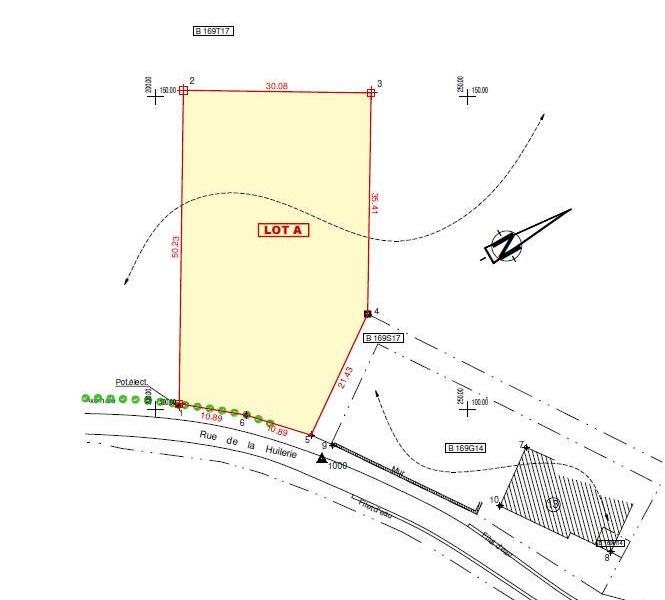
1500 m²Surface terrain
Idéalement situé dans la magnifique région de Bruly de Pesche, ce terrain possède tous les avantages pour concrétiser votre projet immobilier. Largeur approximative de 20 mètres sur une profondeur avoisinant 50 mètres. Renseignements en agence. Faire offre à partir de 57 500€ et sous réserve d'acceptation des propriétaires. Informations non-contractuelles n’engageant pas la responsabilité de l’agent immobilier.

Informations générales

Disponibilité
À l'acte
Référence
153-8201

Énergie

Classe énergétique
Non-communiqué
Numéro de rapport PEB
Non-communiqué
Énergie totale
Non-communiqué
Énergie spécifique
Non-communiqué
Emission CO2
Non-communiqué

Intérieur

Surface terrain
1500 m²
Cave
Non

Exterieur

Jardin
Non

Prescriptions urbanistiques

Affectation urbanistique
Non-communiqué
Permis d'urbanisme
Non-communiqué
Autorisation de lotissement
Non-communiqué
Droit de préemption
Non-communiqué
Zone inondable
Non-communiqué
Infraction urbanistique
Non-communiqué
CENTURY 21 Lardinois

Route de Mons 379/A

6560 Erquelinnes

Visiter le site de l'agence
Intéressé·e ?

Prenez un rendez-vous sans engagement ou posez directement votre question

Réseau n°1

dans le monde

5000 +

transactions de vente annuelles

50 ans

d'expérience