Ajouter aux favoris
Imprimer
Partager
Description
À titre informatif et non contractuel
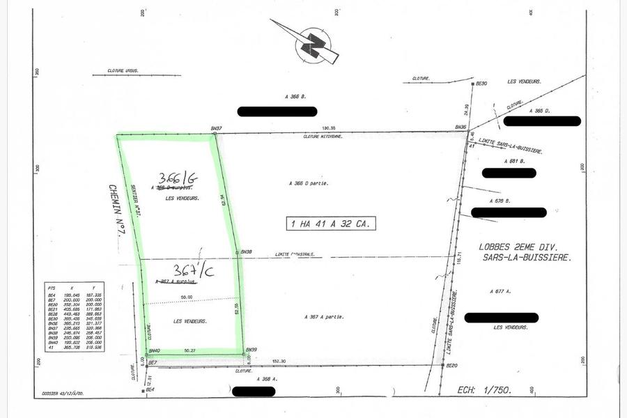
2965 m²Surface terrain
Idéalement situé dans le charmant et paisible village de Bienne-Lez-Happart, cet incroyable terrain à bâtir vous offre un emplacement merveilleux au cœur des champs et un important potentiel grâce à sa belle superficie (+ 60 mètres de largeur sur 50 mètres de profondeur). Cette parcelle ne dispose d’aucun raccordement, ni d’accès asphalté. Renseignements en agence. Faire offre à partir de 125.000€ et sous réserve d'acceptation des propriétaires. Informations non-contractuelles n’engageant pas la responsabilité de l’agent immobilier.

Informations générales

Disponibilité
À l'acte
Référence
157-8179

Énergie

Classe énergétique
Non-communiqué
Numéro de rapport PEB
Non-communiqué
Énergie totale
Non-communiqué
Énergie spécifique
Non-communiqué
Emission CO2
Non-communiqué

Intérieur

Surface terrain
2965 m²
Cave
Non

Exterieur

Jardin
Non

Prescriptions urbanistiques

Affectation urbanistique
Non-communiqué
Permis d'urbanisme
Non-communiqué
Autorisation de lotissement
Non-communiqué
Droit de préemption
Non-communiqué
Zone inondable
Non-communiqué
Infraction urbanistique
Non-communiqué
CENTURY 21 Lardinois

Rue t'Serstevens 2

6530 Thuin

Visiter le site de l'agence
Intéressé·e ?

Prenez un rendez-vous sans engagement ou posez directement votre question

Réseau n°1

dans le monde

5000 +

transactions de vente annuelles

50 ans

d'expérience