+ 5 photos
Ajouter aux favoris
Imprimer
Partager
Description
À titre informatif et non contractuel
4Façades
1512 m²Surface terrain
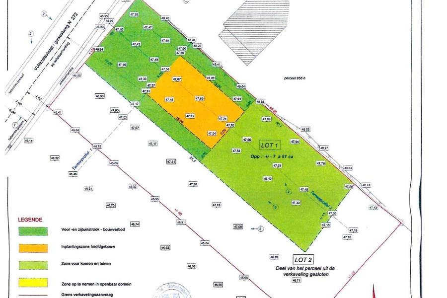
Cet excellent terrain à bâtir pour un développement ouvert offre une opportunité unique de réaliser la maison de vos rêves dans le charmant village de Tollembeek. Situé dans un quartier calme et verdoyant, ce terrain spacieux est idéal pour ceux qui recherchent un lieu de vie paisible avec beaucoup d'intimité. Le terrain a une superficie de 15are12ca, une profondeur de 68m et une largeur de 22m. Le terrain convient pour une maison unifamiliale, y compris une maison de soins ! Le terrain à bâtir offre suffisamment d'espace pour construire votre maison idéale. En tant que lotissement ouvert, vous bénéficiez d'une liberté maximale dans la conception et l'aménagement de votre maison, avec la possibilité de créer un beau jardin ou un espace extérieur. Tollembeek est idéalement situé par rapport aux grandes villes et aux commodités. Vous êtes à proximité des magasins, des écoles, des transports en commun et d'autres installations. En outre, la proximité de réserves naturelles et de possibilités de loisirs offre de nombreuses possibilités de détente et d'activités de plein air. Vous pouvez construire et personnaliser votre maison entièrement selon vos goûts, et la valeur de votre propriété peut augmenter au fil des ans. N'hésitez pas à saisir cette opportunité unique et à faire de la maison de vos rêves une réalité. Profitez du caractère rural de Tollembeek, de ses vastes paysages et de son environnement verdoyant. Il offre un cadre de vie agréable loin de l'agitation de la ville, mais avec toutes les commodités nécessaires à portée de main. Rez-de-chaussée : construire 15m de profondeur - 1er étage : construire 12m de profondeur (terrasse de toit de 3m possible) - Hauteur de corniche max 5.3m - Toit en pente max 45° ou toit plat - Annexe possible de max 32m² & la hauteur maximale du bâtiment est de 3.5m Contactez-nous : 054/34.34.34 ou via email : info@c21.be pour plus d'informations sur ce terrain à bâtir à Tollembeek.

Informations générales

Disponibilité
À définir
Référence
463-4392

Énergie

Classe énergétique
Non-communiqué
Numéro de rapport PEB
Non-communiqué
Énergie totale
Non-communiqué
Énergie spécifique
Non-communiqué
Emission CO2
Non-communiqué

Intérieur

Surface terrain
1512 m²
Surface habitable
243 m²
Cave
Non

Exterieur

Jardin
Oui

Prescriptions urbanistiques

Affectation urbanistique
Non-communiqué
Permis d'urbanisme
Non-communiqué
Autorisation de lotissement
Non-communiqué
Droit de préemption
Non-communiqué
Zone inondable
Non-communiqué
Infraction urbanistique
Non-communiqué
CENTURY 21 A.T.G

Edingsesteenweg 341

1755 Kester

Visiter le site de l'agence
Intéressé·e ?

Prenez un rendez-vous sans engagement ou posez directement votre question

Réseau n°1

dans le monde

5000 +

transactions de vente annuelles

50 ans

d'expérience