+ 3 photos
À vendre
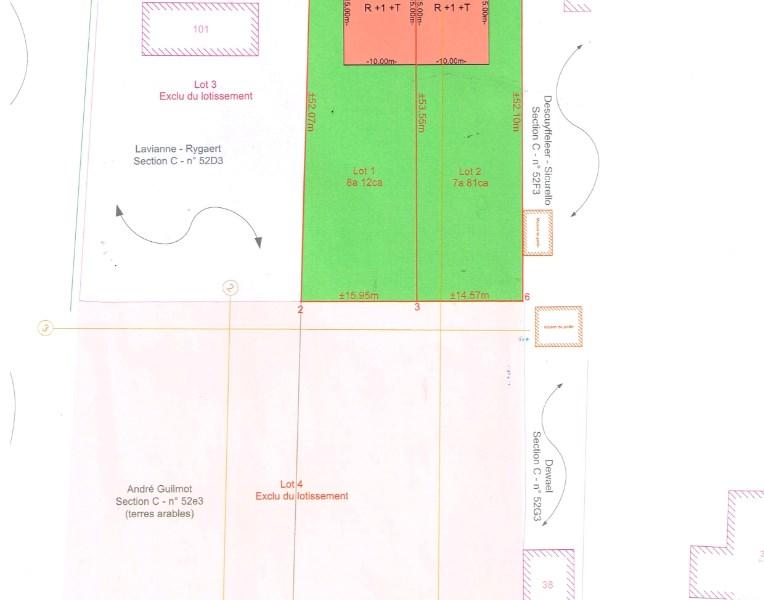
Une belle parcelle de terrain à bâtir pour une construction 3-façades (LOT 2)

Rue De La Falize 93,

1480 Tubize, Belgique

Prix€ 168.000
Ajouter aux favoris
Imprimer
Partager
Description
À titre informatif et non contractuel
781 m²Surface terrain
-1Chambre
Une belle parcelle de terrain à bâtir pour une construction 3-façades située dans une rue calme (Rue de la Falize) à Tubize LOT 2: Surface du terrain: 7a 81ca Largeur du terrain: 14m 59cm Type d’habitation: 3-gevel (rez. + étage + toit)) Surface constructible.: 10m x 15m (rez.) Construction en retrait de la rue: 6,00m Orientation du jardin: Sud Citerne d’eau de pluie: obligatoire (> 10.000l) PRIX: 168.000 EUR (hors frais)

Informations générales

Disponibilité
À l'acte
Référence
122-8562809

Énergie

Classe énergétique
Non-communiqué
Numéro de rapport PEB
Non-communiqué
Énergie totale
Non-communiqué
Énergie spécifique
0 kw / m² / année
Emission CO2
Non-communiqué

Intérieur

Surface terrain
781 m²
Nombre de chambres
-1
Cave
Non

Exterieur

Piscine
Non
Jardin
Oui

Prescriptions urbanistiques

Affectation urbanistique
Non-communiqué
Permis d'urbanisme
Non-communiqué
Autorisation de lotissement
Non
Droit de préemption
Non-communiqué
Zone inondable
Non-communiqué
Infraction urbanistique
Non-communiqué
CENTURY 21 Pro Domo

Basiliekstraat 136

1500 Halle

Visiter le site de l'agence
Intéressé·e ?

Prenez un rendez-vous sans engagement ou posez directement votre question

Réseau n°1

dans le monde

5000 +

transactions de vente annuelles

50 ans

d'expérience